вверх
отправить
поиск
админ
главная
|
Перелом вертлужной впадины |
 |
 |
 |
Отправлено Максим 25 Ноябрь 2011, 00:37 ГКБ №1 г.Москва
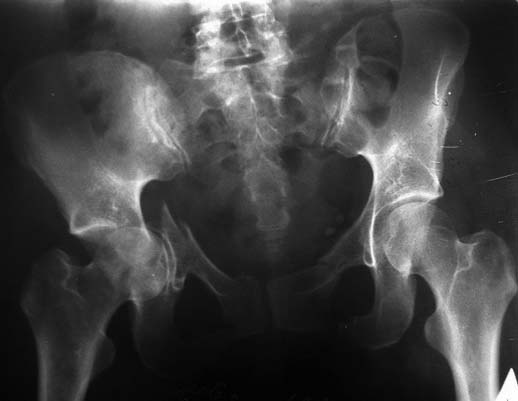
Уважаемые коллеги, хотелось бы узнать Ваше мнение по поводу оптимальной тактики лечения данного повреждения. Пациент 40 лет (175 см рост, 75 кг масса тела), травма в результате ДТП: ЗЧМТ. СГМ. Перелом вертлужной впадины справа с центральным вывихом бедра, повреждением боковой массы крестца справа, лонных и седалищных костей справа. При поступлении было наложено скелетное вытяжение за проксимальный отдел бедренной кости. Хотелось бы узнать ваше мнения о вариантах тактики лечения данного перелома вертлужной впадины, этапности остеосинтеза передней, задней колонны. Какой доступ выбрать: Кохера-Лангенбека, подвздошно-паховый доступ, расширенный подвздошно-бедренный доступ, прямой боковой доступ.
<
|
>
|
|
Ответить
|
Re: Перелом вертлужной впадины
Александр Н 25 Ноябрь 2011, 08:53
|
Может быть начать с АВФ ТАЗ-БЕДРО, с последующей эвакуацией в спец центр. У вас ЛПУ какого профиля?
|
[
Ответить ]
|
Re: Перелом вертлужной впадины
Djoldas Kuldjanov, M.D. 25 Ноябрь 2011, 13:22
|
На основании скудных данных можно предположить, что имеется Т-образный перелом?, но для установки топографии перелома вертлужной впадины нужны дополнительные стандартные снимки Judet и томографические срезы для перелома таза.
Первичная тактика для устранения вывиха головки это скелетное вытяжение, но вместо проксимального, можно было ограничиться вытяжением за дистальное бедро. Близко расположенная система вытяжения в случае инфецирования может отодвинуть сроки операции. Ранний контрольный снимок после вытяжения поможет принять решение по ургентности, а с доступом можно определится после полного исследования.
|
[
Ответить ]
|
Re: Перелом вертлужной впадины
Отправитель: Максим 25 Ноябрь 2011, 15:12
|
Сегодня добавлю КТ-снимки, снимков по Judet не делали. Сегодня неделя, как пациент поступил больницу. При поступлении пациент госпитализирован в реанимационное отделение, где было наложено скелетное вытяжение, согласен с Вами по поводу уровня вытяжения, но перепроводить вытяжение было уже нецелесообразно. На данный момент пациент активизирован в пределах постели, планируется оперативное лечение. Мы остановились на двухэтапном оперативном лечении: первым этапом остеосинтез задней колонны накостной пластиной, доступ Кохера-Лангенбека, а через несколько дней остеосинтез передней колонны.
|
[
Ответить ]
|
|
Re: Перелом вертлужной впадины
Максим 25 Ноябрь 2011, 23:28
|

Кт снимки
|
[
Ответить ]
|
Re: Перелом вертлужной впадины
Kudinow Konstantin 27 Ноябрь 2011, 03:20
|
В Москве, в ГКБ№15 работает замечательный специалист, профессор Казанцев Андрей Борисович. С вопросами по тазу - это к нему. Уверен, это будет самая лучшая консультация по вашему вопросу.
С уважением, Кудинов К. В., г. Курган.
|
[
Ответить ]
|
Re: Перелом вертлужной впадины
Атом Тер-Григорян 27 Ноябрь 2011, 05:28
|
Здравствуйте! Если поэтапно, то целесообразно начать с передней колонны. Перелом переднего гемипелвиса слева, а также крестца справа тоже надо фиксировать. Не исключено, что после репозиции передней колонны, задняя встанет. каким доступом - каким лучше владеете. Перелом свежий и можно начать с малоинвазивных (окончатых) доступов. Должно получиться. Ходить на заднюю колонну или нет - определитесь во время операции.
В идеале:
1. Малоинвазивный доступ на переднее полукольцо - реконструктивная пластина от левой подвздошной ямки до правой. (При необходимсти - винт в переднюю колонну).
2. Перкутанная фиксация перелома крестца.
3. Винт в заднюю колонну.
|
[
Ответить ]
|
Re: Перелом вертлужной впадины
Djoldas Kuldjanov 28 Ноябрь 2011, 12:49
|
КТ срезы помогают увидеть мелкие фрагменты и маргинальную импакцию, но на ваших мелких срезах трудно увидеть повреждение боковой массы крестца? Классифицировать перелом вертлужной впадины по Летурнелю все таки привычнее на косых Judet снимках.
Некоторые переломы вертлужной впадины между собой трудно отличаются, и надо проводить дифференциальную диагностику переломов: Т-образного, двух колонного и комбинации поперечного с переломом задней стенки (Associate
Transverse &Posterior Wall). Отсутствие вовлечения крыла подвздошной кости при двухколонном и наличие перелома в седалищной кости говорит о
Т-образном переломе.
При классическом варианте доступы спереди Ilioinguinal, задний Kocher-Langenbeck или Extended IlioFemoral. В данном случае смещение в
основном находится спереди, и доступ должен быть передним. Спереди лучше контролировать репозицию (изометрическими) репозиционными
шипцами. Сзади отсутствует смещение и, возможно, обойдется без заднего доступа, а межколонная фиксация спереди будет достаточна.
Послеоперационный снимок может подтвердить нужду во вторичной операции!
Модифицированный доступ Stoppa также позволяет контролировать Pelvic Brim, где надо уложить пластину, но разработанный Digastric Approach с
Trochanteric Osteotomy дает обзор к переднему, а также задним отделам супраацетабулярной поверхности. Боковая тяга во время операции за
трохантер в латеральном положении поможет с репозицией, но этот доступ применяется только при больших смещениях сзади.
Любой из боковых доступов имеет тенденцию осложнятся оссификацией (Heterotopic Ossification). Профилактика оссификации проводится
одноразовым облучением.
При лечении переломов вертлужной впадины главная задача - идеальная репозиция за счет открытого метода, но в некоторых случаях специальными
приспособлениями можно добиться репозиции закрыто. Тогда фиксацию можно провести длинными шурупами из мини доступов!
http://www.starrframe.com/
Надеюсь, у Вас опыт достаточный, а так на словах трудно ориентировать начинающего в сложной анатомии ацетабулума. При отсутствии опыта,
чтобы не беспокоить больного можно договорится с коллегами, которые на месте помогут с решением проблемы.
Reconstruction of the pelvic brim and its role in the reduction accuracy of displaced T-shaped acetabular fracture. Harnroongroj T, Asavamongkolkul A, Chareancholvanich K.
Operative treatment of T-type fractures of the acetabulum via surgical hip dislocation or Stoppa approach.Tannast M, Siebenrock KA
|
[
Ответить ]
|
Re: Перелом вертлужной впадины
Maxim Agalakov 28 Ноябрь 2011, 21:12
|
перелом скорее всего Т-образный, основные проблемы лежат спереди, перелом задней колонны довольно низкий и имеет скорее ротационное смещение ( из доступа К-L будет, как минимум неудобно, да и не зачем)Скорее всего- подвздошно-паховый или Stoppa - решит все проблемы.
С уважением Максим Агалаков, Е-бург.
|
[
Ответить ]
|
( Ответить )
|
|