вверх
отправить
поиск
админ
главная
|
Деформация при удлинении бедра |
 |
 |
 |
Отправлено Павел 19 Сентябрь 2012, 20:05
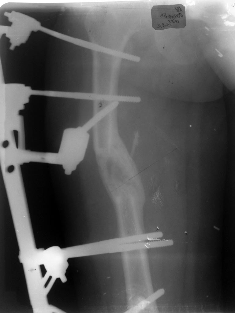
Здравствуйте, уважаемые коллеги!Девочка 13.5 лет, в марте месяце наложили стержневой аппарат МКЦ (произ-во ЦИТО) на бедро в связи с укорочением бедра на 4.5 см, дистракция до мая месяца на 5.5 см, при наложении аппарата на проксимальную часть бедра, неправильно были подобраны стержни- короткие, в связи с чем аппарат перетенул (латерилизовал ) проксимальный отломок, в мае месяце МКЦ констукция для облегчения была заменена на пластину аппарата Илизарова, попытка медиализировать отломок мало помогла. сейчас стоит вопрос об удалении стержней. Можно ли при таком смещении это делать ведь фактически смещение по ширине а не под углом, ? при полной нагрузке не сформируется ли угловая деформация бедра, хотя консолидация хорошая, клинически, ось бедра правильная и симметрична другой ноге.
<
|
>
|
|
Ответить
|
Re: Деформация при удлинении бедра
edgar bukharev 20 Сентябрь 2012, 13:41
|
В настоящее время сформировалась первичная костная ткань. Конечно, коррекцию деформации нужно было проводить на "мягком" регенерате и, конечно, сделать это на монолатеральном аппарате данной конструкции не просто (известный минус монолатералов). Мне кажется нужно демонтировать АВФ и понаблюдать до окончания роста (16-18 лет). Тогда и решить вопрос об окончательной коррекции деформации.
С уважением.
|
[
Ответить ]
|
Re: Деформация при удлинении бедра
Alexander Artemiev 20 Сентябрь 2012, 14:11
|
. сейчас стоит вопрос об удалении стержней. Можно ли при таком смещении это делать
А какие другие варианты возможны? При такой степени зрелости регене6рата исправить уже ничего не получится. Снимайте аппарат, реабилитация - и через несколько месяцев окончательная оценка результатов лечения. Никаких проблем возникнуть не должно.
ведь фактически смещение по ширине а не под углом, ?
Применительно к нарушению механической оси это взаимозаменяемые виды смещения.
при полной нагрузке не
сформируется ли угловая деформация бедра, хотя консолидация хорошая, клинически, ось
бедра правильная и симметрична другой ноге.
Вториная деформация формируется в тех случаях, когда аппарат снимется преждевременно, или задается чрезмерная нагрузка, неадекватная прочности регенерата.
Подобное смещение - закономерно и практически неустранимо при использовании монолатеральных конструкций. Устьранить деформацию можно было, применив кольцевую конструкцию с дистрацкцией по внутренней поверхности. Хотя в данном случае эта деформация вряд ли будет иметь клиническое значение.
С уважением Артемьев Александр Александрович
|
[
Ответить ]
|
Re: Деформация при удлинении бедра
Leonid Solomin 20 Сентябрь 2012, 18:46
|
Дорогие коллеги!
Может быть, начать с обязательной классики: сделать телеРг и оценить значимость деформации по референтным линиям и углам (прежде всего оценить механические углы и девиацию механической оси во фронтальной плоскости, анатомические углы в сагиттальной плоскости)?
С уважением,
Л.Соломин
|
[
Ответить ]
|
Re: Деформация при удлинении бедра
Отправитель: Ниязов Нияз 20 Сентябрь 2012, 19:48
|
Уважаемый Леонид Николаевич
по поводу данного случая у меня опыта мало, но судя по вашей книге случай напоминает рисунок 2-8-8.
|
[
Ответить ]
|
Re: Деформация при удлинении бедра
Отправитель: Leonid Solomin 21 Сентябрь 2012, 16:19
|
Дорогой Ниязов Нияз!
Возможно, Вы правы, но судя по имеющейся "обрезанной фотокарточке", есть и уголочек. Чтобы не гадать, обследуйте пациента, "как положено" :-)
Литературы достаточно, в том числе:
http://rniito.org/download/Ref-Lines-Angl.pdf
С уважением,
Л.Соломин
|
[
Ответить ]
|
Re: Деформация при удлинении бедра
Отправитель: Alexander Artemiev 21 Сентябрь 2012, 18:11
|
Леонид Николаевич, дорогой.
Уж не хотел вмешиваться, но коль тема не заглохла, позволь спросить - а зачем сейчас уже обследовать "как положено".?
На что это сейчас повлияет?
|
[
Ответить ]
|
Re: Деформация при удлинении бедра
Отправитель: Leonid Solomin 21 Сентябрь 2012, 20:08
|
.... ну, Александр Александрович, "как положено" надо бы обследовать
..... всегда :-) Нельзя (к сожалению, не я придумал) обсуждать
никакую деформацию без конкретных величин РЛУ. Давайте, таки, сделаем это и расчертим пресловутые линии. Может быть хозяин положения (лечащий врач) при конкретных величинах углов и отклонении мех.оси решит оставить как есть ("до израстания") ... а может и изменит свое решение.
С уважением,
Л.Соломин
|
[
Ответить ]
|
Re: Деформация при удлинении бедра
Отправитель: Alexander Artemiev 21 Сентябрь 2012, 21:42
|
Я человек простой, без заморочек...
Сейчас кроме как снять аппарат делать ничего уж и не надо, ИМХО Если дамочку функция устроит, то пресловутые линии ни к чему будут.
Пока контрактуру разработает, пока привыкнет к своей длинной ноге... Линии на последнем месте в этом клубке проблем... Не нужно делать лишних движений:)
|
[
Ответить ]
|
Re: Деформация при удлинении бедра
Отправитель: Mark Kuznetski 21 Сентябрь 2012, 22:45
|
Ув. Нияз Ниязов,
подобные деформации исключаются, если использовать удлинение на гвозде( LAN операция). Oб этом методе была дискуссия на форуме некоторое время назад. Тогда не понадобится какие-либо " дополнительные исследования углов и т.д." или ожидание патциентом совершеннолетия. Согласен, что сейчас лучше ничего не предпринимать а подождать, когда ребенок перестанет расти,тогда и будет ясен объем необходимой коррекции.
С уважением,
dr.Mark Kuznetski
Head of Department
Septic Orthopaedic Surgery
North-Estonian Regional Hospital
Tallinn
|
[
Ответить ]
|
|
Re: Деформация при удлинении бедра
Mark Eidelman 21 Сентябрь 2012, 18:35
|
Apparat konechno strashnovat , regenerat krivovat, no ne strashno.
Strashno kak votknuty half pins medialno- tam
Ved femoral artery !!!
|
[
Ответить ]
|
Re: Деформация при удлинении бедра
Отправитель: Павел 21 Сентябрь 2012, 21:36
|
Всем большое спасибо за быстрый отклик по моей проблеме, я думаю на ВСЯКИЙ СЛУЧАЙ еще поддержать 2-3 недели аппарат, потом его демонтировать (состояние кожных покровов позволяет), и уж потом как надо дообследовать и дальше наблюдать как многие советовали. может все и обойдется, только теперь более тщательно буду планировать компоновку аппарата. а по поводу "Apparat konechno strashnovat"
тут не согласен: очень удобный й функциональный.
по поводу "Strashno kak votknuty half pins medialno- tam
Ved femoral artery !!!" все стержни в безопасной зоне бедра,
самаое главное ВЫ сказали "regenerat krivovat, no ne strashno" я ведь переживал больше всего из за этого
|
[
Ответить ]
|
Re: Деформация при удлинении бедра
Отправитель: Mark Eidelman 21 Сентябрь 2012, 21:56
|
Uv Pavel
Ya ughe VTOm vozraste(posle 50) - kogda vse osloghneniya proshel- poverte na slovo - don't penetrate medial cortex more than 3 mm , ap view of your femur me dlya slabonervnyh
|
[
Ответить ]
|
Re: Деформация при удлинении бедра
Отправитель: Павел 21 Сентябрь 2012, 23:34
|
ах Вы про это,Уважаемый Mark Eidelman!? У нас нет эопа, может тогда и стержни не были бы короткими ? когда вручную вводишь стержни не знал что можно проколоть артерию,сверлом или спицей это да,бывало, стержнем нет, оно же отталкивает сосуд при вкручивании
|
[
Ответить ]
|
Re: Деформация при удлинении бедра
Отправитель: Mark Eodelman 22 Сентябрь 2012, 13:22
|
Pavel,
Moghet byt togda perestat delat limb lengthening until your administration will buy fluro ?
Detey ghalko.
|
[
Ответить ]
|
|
Re: Деформация при удлинении бедра
Шведовченко Игорь Владимирович 23 Сентябрь 2012, 02:24
|
Доброй ночи, уважаемые коллеги. Очень интересная дискуссия, основанная на анализе представленных рентгенограмм.
Можно задать автору страницы вопрос-какими критериями Вы руководствуетесь, принимая решение о демонтаже и снятии аппарата?
Вас не смущает представленная рентгенограмма, особенно состояние регенерата?
Как вы оцениваете степень его перестройки, неоднородность, особенно в центре?
|
[
Ответить ]
|
Re: Деформация при удлинении бедра
Отправитель: Павел 23 Сентябрь 2012, 22:17
|
Здравстуйте Уважаемый Игорь Владимирович, во первых по сроках пора
снимать, после окончания дистракции, с мая месяца
по ныне стоит аппарат в режиме фиксации, во вторых уже пол месяца
как девочка ходит нагружая на ногу, и в третьих
удовлетворительная консолидация на рентгене, я бы снял аппарат
но смещение по ширине меня останавливает, благо кожные
покровы позволяют(нет воспаления и выделений). А поводу
просветления в центре мозоли может это из за смещения,
но толщина мозоли в сумме меня устраивает
|
[
Ответить ]
|
|
( Ответить )
|
|